close

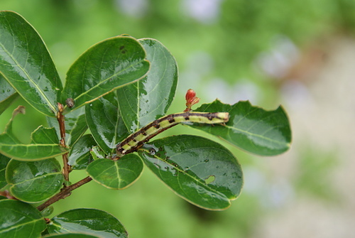
外子說這隻尺蠖蛾幼蟲目測蠻大隻的~

 

白波緣尺蛾幼蟲


頭部寬,前端臉頰截平





食草 : 紫薇


101.6.14 苗栗縣飛鳳村


 

白波緣尺蛾幼蟲

鱗翅目

尺蛾科 / 枝尺蛾亞科

全站熱搜
創作者介紹
創作者 詩心婆婆 的頭像
詩心婆婆

詩心婆婆

詩心婆婆 發表在 痞客邦 留言(0) 人氣()