close





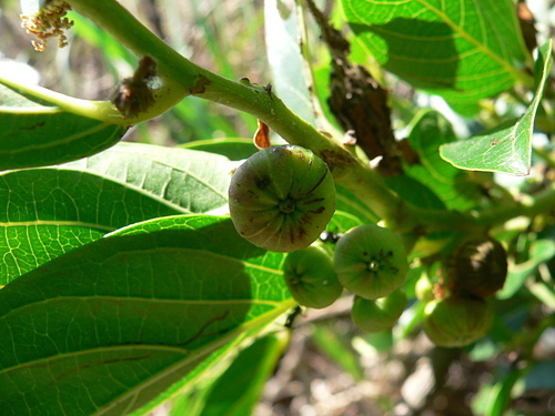
錫蘭饅頭果果實



96.10.23 攝於 大果園

長梗六瓣黃花










96.9.13 攝於 復旦公園
大戟科
喬木。葉單葉長橢圓狀卵形或長橢圓形,長4.5~15cm,寬3~8cm,基部心形或圓形,略歪,葉下表面灰綠色。
花黃綠色,繖形花序腋生。
蒴果橘色,扁球形。
夏至秋季開花結果。
(參考 錫蘭饅頭果 )
Hong Kong Abacus Plant
常綠喬木,可達7公尺高。單葉互生,橢圓形,5-15公分長,3-8公分寬,先端鈍,葉全緣。
蒴果似包子形狀,成熟後開裂露出紅色種子。
全站熱搜
留言列表
