蚜獅喜歡在體背堆垃圾!
這些偽裝物通常都是牠們的戰利品,將獵食後的軀殼吐絲黏附在背上。
牠們的體背兩側有許多突瘤與刺狀毛束可以穩固背上的偽帳物,身體隱身其下很難發現牠的蹤影。
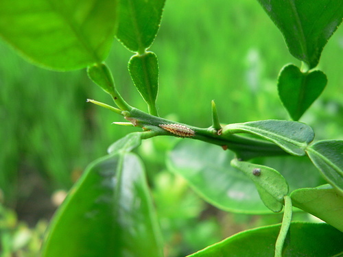
這次好不容易看到蚜獅本尊,不當拾荒者,輕鬆地沒背任何垃圾,反而不認得了...。

蚜獅本尊 (草蛉幼蟲)










98.10.15 攝於 稻田邊柚子樹
文章標籤
全站熱搜
蚜獅喜歡在體背堆垃圾!
這些偽裝物通常都是牠們的戰利品,將獵食後的軀殼吐絲黏附在背上。
牠們的體背兩側有許多突瘤與刺狀毛束可以穩固背上的偽帳物,身體隱身其下很難發現牠的蹤影。
這次好不容易看到蚜獅本尊,不當拾荒者,輕鬆地沒背任何垃圾,反而不認得了...。

蚜獅本尊 (草蛉幼蟲)










98.10.15 攝於 稻田邊柚子樹
